Pasar al contenido principal
Un sitio oficial del Gobierno de Estados Unidos
English
Ante la falta de fondos del gobierno federal, no se actualizará este sitio web y la organización no responderá a transacciones ni consultas hasta que se aprueben los fondos. 

El Centro Clínico de los Institutos Nacionales de la Salud  (el hospital de investigación) permanecerá abierto.  Consulte cc.nih.gov (en inglés).

Infórmese sobre el funcionamiento del gobierno federal y el reinicio de las actividades en  opm.gov.

Enviar por correo electrónico

El cáncer y el cambio climático: peligros para la salud por catástrofes que no son naturales

, por Edward Winstead

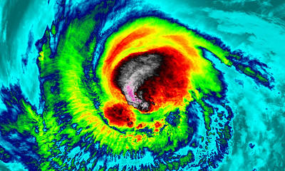
Imagen satélite del huracán Irma, por la Administración Nacional de Aeronáutica y el Espacio (NASA)

Imagen satélite del huracán Irma, que en 2017 causó daños de miles de millones de dólares en Puerto Rico y Florida. Los huracanes embravecidos por el calentamiento de los océanos pueden destruir edificios y aparatos que se usan en el tratamiento, el diagnóstico y la detección del cáncer.

Fuente: Proyecto de NASA/NOAA GOES

Durante cuatro meses en 2017, hubo cuatro catástrofes mortales en los Estados Unidos: los huracanes Harvey, Irma y María, y los incendios forestales en California. Es probable que el cambio climático agravara estas catástrofes.

En ese momento, se sabía poco sobre los posibles vínculos entre el cambio climático y el cáncer. Pero después de estas catástrofes, los investigadores comenzaron a estudiar la forma en que estos fenómenos climáticos afectaban a las personas con cáncer. 

Hoy existen cada vez más pruebas de que las consecuencias del cambio climático influyen en muchos aspectos del cáncer. Por ejemplo, los incendios forestales más frecuentes, las sequías y olas de calor prolongadas, y las tormentas tropicales más fuertes e intensas.

“Creemos que el cambio climático tiene efectos directos e indirectos en la formación del cáncer y la atención oncológica”, comentó la doctora Gwen Collman, del Instituto Nacional de las Ciencias de Salud Ambiental (NIEHS), que ayuda a coordinar las investigaciones de los Institutos Nacionales de la Salud (NIH) sobre el cambio climático y la salud.

Por ejemplo, hay catástrofes relacionadas con cambios climáticos que exponen a las personas a sustancias cancerígenas (que causan cáncer) en el medio ambiente. El humo de los incendios forestales contiene varias sustancias cancerígenas, como el formaldehído y el benceno.

Además, los huracanes embravecidos por el calentamiento de los océanos pueden destruir los edificios y los equipos médicos que se usan en el tratamiento, el diagnóstico y la detección del cáncer. Es posible que el acceso a la atención médica y la capacidad de los proveedores de ofrecer servicios médicos se interrumpan por mucho tiempo.

El clima extremo también interrumpe las actividades de prevención del cáncer. Las sequías y las inundaciones afectan el suministro de alimentos, que podría limitar el acceso a las frutas y verduras frescas. Y las olas de calor o las tormentas prolongadas relacionadas con el cambio climático quizás hacen que las personas no se mantengan activas al aire libre. 

“De hecho, estos fenómenos meteorológicos extremos podrían afectar de muchas formas el riesgo de cáncer y las actividades para prevenir y controlar la enfermedad”, explicó el doctor Curt DellaValle, de la División de Control de Cáncer y Ciencias Demográficas (DCCPS) del Instituto Nacional del Cáncer (NCI). 

“Medir y evaluar estos fenómenos climáticos será importante para entender y responder a los efectos del cambio climático en la salud”, añadió el doctor DellaValle, que integra el Grupo de Trabajo sobre el Cambio Climático del NCI. 

La conexión entre los huracanes y la supervivencia de las personas con cáncer

La mayor parte de la investigación sobre el cambio climático y el cáncer se concentró en cómo los huracanes y los incendios forestales afectan la atención oncológica.

Uno de los primeros estudios para medir las repercusiones del cambio climático en el cáncer se centró en personas que recibieron radioterapia para el cáncer de pulmón. Recibir tratamiento en una zona donde se declaró una catástrofe por huracán se relacionó con una supervivencia general más desfavorable, según el estudio de 2019. Los investigadores atribuyeron la supervivencia inferior, en parte, a las demoras en el tratamiento debido a los huracanes. 

Vista aérea de edificios y viviendas dañadas en Puerto Rico después del huracán María

El huracán María arrojó más lluvia en Puerto Rico que cualquier otra tormenta que azotó la isla desde 1956. Esto fue un fenómeno que el cambio climático provocado por los humanos hizo mucho más probable. Los investigadores documentaron las experiencias de las personas con cáncer que sobrevivieron las catástrofes.

Fuente: Agencia Federal para el Manejo de Emergencias (FEMA)

“No debería sorprender que las catástrofes naturales interrumpan la atención oncológica y empeoren los desenlaces para los pacientes”, señaló la investigadora principal del estudio, la doctora Leticia Nogueira, directora científica de la Sociedad Americana contra el Cáncer y una de las primeras becarias de la Iniciativa sobre el Clima y la Salud de los NIH. 

Sin embargo, al comienzo, cuando la doctora Nogueira propuso el estudio hace 5 años, sus colegas descartaron la idea. “En aquel entonces, eran pocos los investigadores que pensaban sobre la conexión entre el cambio climático y el cáncer”, recordó.

Los tiempos han cambiado. Ahora, la doctora Nogueira se encarga de exponer sobre el cambio climático y el cáncer en las conferencias científicas. Y otros investigadores del cáncer interesados en los estudios sobre el cambio climático la consultan con frecuencia. Destacó que la mayoría de los investigadores también se vieron afectados de alguna forma por una catástrofe relacionada con el clima. 

“Una perspectiva común sobre el cambio climático es que ocurrirá en el futuro y que afectará sobre todo a islas lejanas de otros países”, explicó la doctora Nogueira. “Pero, ahora mismo, todos sentimos las consecuencias para la salud del cambio”.

Escuchar a las personas afectadas por el cambio climático

Comenzaron a surgir las historias de las personas con cáncer que se vieron afectadas por condiciones meteorológicas extremas relacionadas con el cambio climático. Después de los huracanes Irma y María, los investigadores reunieron en grupos focales a algunas mujeres que recibían tratamiento para cánceres ginecológicos cuando ambas tormentas seguidas azotaron Puerto Rico.

Lo que las mujeres contaron sobre su experiencia revelan las dificultades que enfrentaron. Varias se subieron al techo de su casa para conseguir señal de celular y llamar al médico. Pero no lograron conectarse porque las tormentas habían destruido casi todas las torres de transmisión celular.

María arrojó más lluvia en Puerto Rico que cualquier otra tormenta que pasó por la isla desde 1956. El cambio climático provocado por humanos hizo que este huracán fuera más probable. La mayoría de las mujeres de los grupos focales dijeron que les demoraron o cancelaron sus tratamientos del cáncer. 

Las historias de estas mujeres nos recuerdan que, aunque el cambio climático nos afecta a todos, golpea más duro a los grupos más vulnerables, que incluyen a las personas de pocos recursos con enfermedades como el cáncer, subrayó la doctora Gila Neta, epidemióloga del equipo de ciencias aplicadas de la DCCPS.
 
“Las comunidades marginadas tienden a llevar una carga del cáncer mayor que la de otras comunidades, y el cambio climático quizás agrave las vulnerabilidades que ya existen”, explicó la doctora Neta.

Los efectos en la salud de una catástrofe, señaló, tal vez persistan mucho después de que termina la catástrofe. Una década después del huracán Katrina, la supervivencia de las mujeres con cáncer de mama (seno) fue peor para quienes vivieron la experiencia de Katrina que en quienes no pasaron por la catástrofe.

Problemas inesperados de las catástrofes climáticas

Es posible que el clima extremo tenga efectos impredecibles y de gran alcance para las personas con cáncer. No se limita a los problemas de acceso al tratamiento para quienes están en la zona por donde pasa la tormenta. 

Por ejemplo, el huracán María obligó a que en Puerto Rico se cerrara una fábrica de bolsas pequeñas para líquido intravenoso (IV) de uso hospitalario. Poco después, en los estados contiguos de los Estados Unidos hubo escasez de estos productos en los centros de atención médica. 

“¿Quién hubiese pensado que un huracán en Puerto Rico pudiera afectar la disponibilidad de líquido intravenoso, que es vital para los pacientes de cáncer, en todos los Estados Unidos?”, preguntó el doctor Robert Hiatt, licenciado en Medicina, del Centro Oncológico Integral de la Familia de Helen Diller de la Universidad de California en San Francisco (UCSF), que escribe sobre el cambio climático y el cáncer. 

“Este ejemplo demuestra la naturaleza compleja e interconectada de la atención oncológica, que es vulnerable a los problemas en la cadena de suministros”, continuó el doctor Hiatt. 

Destacó que la pandemia de la COVID-19 y las catástrofes meteorológicas graves, como el huracán Harvey, demostraron “cómo los sistemas de atención médica de los Estados Unidos son susceptibles a estas sacudidas.” Además, añadió, “dado que el clima sigue cambiando, las interrupciones a la atención médica podrían volverse cada vez más comunes”.

Análisis de la relación entre los incendios forestales y el cáncer de pulmón

El doctor Hiatt se interesó en el cambio climático, en parte, por las experiencias que tuvo con los incendios forestales en California. En 2020, vivía en la zona de la Bahía de San Francisco, cuando el humo de los incendios tapó el sol y dejó a la ciudad envuelta en una nube anaranjada. 

Imagen satélite del humo de los incendios forestales que se desplazaba por los Estados Unidos el 4 de septiembre de 2017. Las sequías y las olas de calor prolongadas que se asocian con el cambio climático aumentaron el riesgo y la extensión de los incendios forestales grandes.

Fuente: Jeff Schmaltz, del equipo de respuesta rápida de LANCE/EOSDIS MODIS, Centro de Vuelo Espacial Goddard (GSFC), (CC BY 2.0)

Las sequías y las olas de calor prolongadas que se asocian con el cambio climático aumentaron el riesgo y la extensión de los incendios forestales grandes en la región oeste de los Estados Unidos. Y en un estudio, se comprobó que es posible que los bomberos expuestos al humo de estos incendios tuvieran un aumento del riesgo de cáncer de pulmón.

Además de sustancias carcinogénicas, el humo de los incendios forestales contiene partículas muy pequeñas y finas, que se conocen como material particulado. La exposición a estas partículas, que también se encuentran en los gases de escape de los vehículos y el humo que se genera al quemar hidrocarburos, afecta los pulmones y el corazón

Los científicos exploran desde hace un tiempo la conexión entre el material particulado fino y el cáncer en relación con el cambio climático. En un estudio, por ejemplo, se descubrió que la carga global de muertes por cáncer de pulmón atribuibles a material particulado fino en el aire aumentó en las últimas décadas

Recopilación de datos sobre la exposición a lo largo de las décadas

Es probable que las amenazas más grandes para la formación del cáncer en cuanto al cambio climático sean por la exposición a la contaminación del aire y otros carcinógenos, además de las interrupciones en el suministro de agua y alimentos, indicó el doctor DellaValle.

Los investigadores quizás necesiten recopilar datos de exposición durante el transcurso de la vida de las personas para conocer las formas en que la exposición a catástrofes relacionadas con el clima influyen en el riesgo de cáncer, explicó el doctor DellaValle. 

La doctora Nogueira estuvo de acuerdo. “Ahora mismo, hay una escasez de datos sobre la exposición a carcinógenos que se liberan durante los eventos de clima extremo”, señaló. “Pero los investigadores, los organismos de financiación y las organizaciones gubernamentales tienen la oportunidad de mejorar su participación en esta área”. 

Los nuevos sistemas y técnicas de tecnología podrían obtener datos sobre eventos de clima extremo para los estudios relacionados con la salud. Por ejemplo, después de una catástrofe, se podrían enviar cuestionarios electrónicos a quienes vivían en las zonas damnificadas para obtener información sobre sus experiencias, explicó el doctor DellaValle.

Mirar al pasado para entender el futuro

Hace poco, un estudio sobre la salud que se inició mucho tiempo atrás comenzó a incorporar la información relacionada con cambios climáticos en la base de datos. El Estudio de Salud del Personal de Enfermería (NHS) ahora añade datos sobre mediciones de temperatura, precipitaciones y humedad en el registro de cada participante según el código postal de la persona. 

Desde 1976, el NHS recopila información médica de un grupo de profesionales de enfermería cada 2 años. Alrededor de 350 000 personas participaron en el estudio inicial y en los dos estudios posteriores.

La base de datos ampliada se podría usar para explorar la forma en que las interacciones entre múltiples factores ambientales podrían influir en la salud humana, según la doctora en Ciencias Jaime Hart, una investigadora de salud ambiental en la Facultad de Salud Pública de T.H. Chan en la Universidad de Harvard e investigadora del NHS. 

En muchos estudios anteriores, destacó la doctora Hart, se examinaron los efectos en la salud de la contaminación del aire, en forma separada de la temperatura y las precipitaciones. Ahora, la doctora Hart y sus colegas esperan observar estas variables juntas y aprender más sobre las formas complejas en que afectan la salud humana. 

“El ambiente es un sistema complejo, y queremos observar las interacciones múltiples”, señaló. 

El Estudio de Salud del Personal de Enfermería incluye a un equipo centrado en el cáncer. El plan de estos investigadores es estudiar, por ejemplo, la exposición a los incendios forestales y saber si afectó la supervivencia en las personas con cáncer de mama u otros cánceres. 

“Analizamos casos de exposición que ocurrieron hasta hace 40 años, pero esos datos nos permiten ofrecer información sobre lo que podríamos ver en el futuro”, comentó la doctora Hart. “Estamos a punto de poder hacer muchas preguntas nuevas, así que les contaremos pronto”. 

Enfoque en la preparación para las emergencias

Para la doctora Nogueira, los desafíos que presenta un clima cambiante son inquietantes. “Hay tanto por hacer, que a veces es abrumador”, comentó. “Pero si hay algo que podemos hacer de inmediato es prepararnos para la emergencia”.

Las personas con cáncer se pueden preparar para las emergencias asegurándose de tener los medicamentos y la información sobre los diagnósticos y los tratamientos listos. Los recursos en Internet sobre la preparación ante emergencias incluyen la información sobre la preparación para los huracanes, el calor extremo y las inundaciones.

Los médicos se pueden preparar también. Por ejemplo, a partir de la experiencia de los radioncólogos durante el huracán María, los investigadores modificaron los horarios para ofrecer radioterapia para varios tipos de cáncer durante las catástrofes naturales. Los tratamientos de radioterapia son vulnerables, en particular, a las interrupciones de electricidad y agua durante las catástrofes, ya que se necesitan máquinas en funcionamiento y agua para enfriarlas. 

Para ciertos tipos de cáncer, como el de cabeza y cuello, es posible que las interrupciones inesperadas en los horarios de radioterapia aumenten la probabilidad de que los tumores vuelvan, destacó el doctor Hiram Gay, un radioncólogo de la Facultad de Medicina de la Universidad de Washington en St. Louis. Modificó los horarios con sus colegas que tienen experiencia en el tratamiento de distintos tipos de tumores. 

“Cada clínica de radioterapia oncológica debería contar con un plan detallado de operación de emergencias para reducir al mínimo el efecto de las interrupciones de la radioterapia en los pacientes”, comentó el doctor Gay, que pasó por muchos huracanes ya que se crió en Puerto Rico. 

A medida que el clima sigue cambiando, más hospitales de zonas costeras quizás necesiten prepararse para los huracanes. En un estudio reciente, se descubrió que incluso los huracanes de poca intensidad podrían inundar la mayoría de los hospitales en las ciudades estadounidenses más pobladas que están en la costa del Atlántico y el Golfo.

“El cambio climático aumentó el nivel del mar, y el nivel del mar más alto contribuye a las inundaciones relacionadas con los huracanes”, explicó el director del estudio, el doctor Aaron Bernstein, director del Centro para el Clima, la Salud y el Ambiente Global de la Universidad de Harvard. “Y la mayoría de las investigaciones revelan que el cambio climático hizo que los huracanes también se intensificaran”. 

Los hospitales que se vieron afectados por huracanes podrían compartir las lecciones aprendidas. En Miami, por ejemplo, el Centro Oncológico Integral Sylvester ubicó las unidades de atención de pacientes y los generadores auxiliares en pisos que están fuera del alcance de las crecidas.

Reducir las emisiones de gases de efecto invernadero en los servicios de atención de la salud

Además de la preparación para las emergencias, reducir las emisiones de gases de efecto invernadero, que contribuye mucho al cambio climático, es otra medida que las instituciones de atención de la salud pueden tomar ahora. 

“No queremos contribuir al mismo problema que estamos tratando de resolver”, señaló la doctora Nogueira. Las emisiones de gases de efecto invernadero que genera el sistema de atención médica en los Estados Unidos son más elevadas que las emisiones de todo el Reino Unido, subrayó.

La sala de operaciones es uno de los factores principales que impulsa la producción de gases de efecto invernadero en los hospitales, según el doctor Anaeze Offodile II, un cirujano plástico y reparador en el Centro Oncológico MD Anderson de la Universidad de Texas que exploró formas de reducir las emisiones en el trabajo

“Al hacer cambios, como reducir el volumen de artículos e instrumentos que se usan solo una vez en la sala de operaciones, ayudamos a reducir la huella de carbono de los gases de efecto invernadero que emite nuestra institución”, explicó. 

Otras estrategias para reducir las emisiones en la atención médica incluyen la telemedicina. “Al limitar la frecuencia y la distancia de los viajes del paciente, marcamos una diferencia en la huella de carbono de las emisiones de gases de efecto invernadero debido a la prestación de servicios de salud”, añadió el doctor Offodile. 

Reunir a los científicos del clima y los investigadores del cáncer

El interés mundial sobre los efectos del cambio climático está en aumento. En las charlas más recientes de las Naciones Unidas sobre el clima, se incluyó un pabellón especial donde se destacaron los efectos de la crisis climática en la salud de las personas de todo el mundo.

Y desde hace más de un año, la Iniciativa sobre el Clima y la Salud de los NIH reúne a expertos para identificar los conocimientos que las comunidades necesitan para adaptarse y evitar un mayor daño por las catástrofes climáticas. El NCI participa en esta iniciativa. 

A medida que avanza la investigación sobre el cambio climático y el cáncer, los conocimientos obtenidos se podrían emplear para responder a las necesidades de atención oncológica actuales, señaló la doctora Sallie Weaver, del Programa de Investigación sobre la Prestación de Atención de la Salud en la DCCPS. 

“Por ejemplo, encontrar formas nuevas de brindar atención oncológica durante las catástrofes nos ayudaría a hacer que esta atención sea más accesible en general”, dijo la doctora Weaver, que administra un conjunto de proyectos de investigación sobre los efectos de las catástrofes relacionadas con el clima en la atención oncológica. 

Otros investigadores piensan que los retos del cambio climático también presentan oportunidades. La doctora Collman del NIEHS da como ejemplo el surgimiento de las nuevas colaboraciones científicas. 

“Los cambios que observamos en el clima nos afectan a todos”, dijo la doctora Collman. “Y ahora nuestras alianzas de investigación crean conexiones entre la climatología y la salud pública”. 

Luego añadió: “Todos tenemos la misma meta de mejorar nuestra capacidad de generar pruebas y conocimientos sobre los efectos del cambio climático en la salud”.

< Artículo anterior

Se observaron beneficios de largo plazo en las personas con cáncer de vejiga de riesgo alto que recibieron inmunoterapia después de la cirugía

Artículo siguiente >

Posible ampliación del uso de la inmunoterapia en el tratamiento del cáncer de endometrio

Si desea copiar algo de este texto, vea Derechos de autor y uso de imágenes y contenido sobre instrucciones de derechos de autor y permisos. En caso de reproducción digital permitida, por favor, dé crédito al Instituto Nacional del Cáncer como su creador, y enlace al producto original del NCI usando el título original del producto; por ejemplo, “El cáncer y el cambio climático: peligros para la salud por catástrofes que no son naturales publicada originalmente por el Instituto Nacional del Cáncer.”

Enviar por correo electrónico